Estimated reading time: 2 minutos
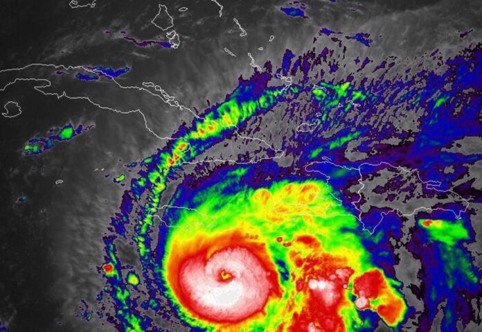
Cuba. El Estado Mayor Nacional de la Defensa Civil (Emndc) de Cuba declaró hoy la fase de Alarma Ciclónica para las provincias orientales del país ante el inminente paso del poderoso huracán Melissa.
A partir de las 9:00 hora local, se activó dicha fase en las provincias de Guantánamo, Santiago de Cuba, Granma, Holguín, Las Tunas y Camagüey. Asimismo, se estableció la fase de Alerta Ciclónica en Ciego de Ávila y Sancti Spíritus.
El Emndc dispuso también la activación, en composición reducida, de los Consejos de Defensa provinciales en Cienfuegos, Villa Clara, Matanzas, Mayabeque, La Habana, Artemisa, Pinar del Río y el Municipio Especial Isla de la Juventud.
Según la nota informativa del organismo, esta decisión responde a la posible trayectoria y evolución del huracán Melissa, que continúa intensificándose y avanza con rumbo próximo al oeste a una velocidad de seis kilómetros por hora.
El Instituto de Meteorología de Cuba (Insmet) pronostica que el sistema mantendrá su desplazamiento hacia el oeste, girará luego al norte y noreste, y transitará por los mares cercanos a Jamaica, aproximándose el martes al territorio nacional por el sur de la región oriental.
En esa zona, las condiciones meteorológicas se irán deteriorando progresivamente.
Ante este escenario, el Emndc exhortó a la población a mantenerse informada a través de los medios de comunicación nacionales y los perfiles oficiales en redes sociales, así como a cumplir rigurosamente las indicaciones de las autoridades locales y de la Defensa Civil.
El organismo, en coordinación con el Insmet y el Instituto Nacional de Recursos Hidráulicos, mantiene una estrecha vigilancia sobre este fenómeno ciclónico.


































